NEW

平塚市立野町 売地 全2区画 宅地1

1,780万円

神奈川県平塚市立野町149-49

東海道本線「平塚」駅徒歩15分

東海道本線「茅ケ崎」駅バス18分神奈川中央交通「四ツ角(平塚市)」停歩18分

東海道本線「大磯」駅バス14分神奈川中央交通「平塚文化芸術ホール前」停歩13分

価格
1,780万円
坪単価
91.24万円(19.51坪)
所在地
神奈川県平塚市立野町149-49
交通

東海道本線平塚」駅 徒歩15分

東海道本線茅ケ崎」駅 バス18分 神奈川中央交通「四ツ角(平塚市)」 停歩18分

東海道本線大磯」駅 バス14分 神奈川中央交通「平塚文化芸術ホール前」 停歩13分

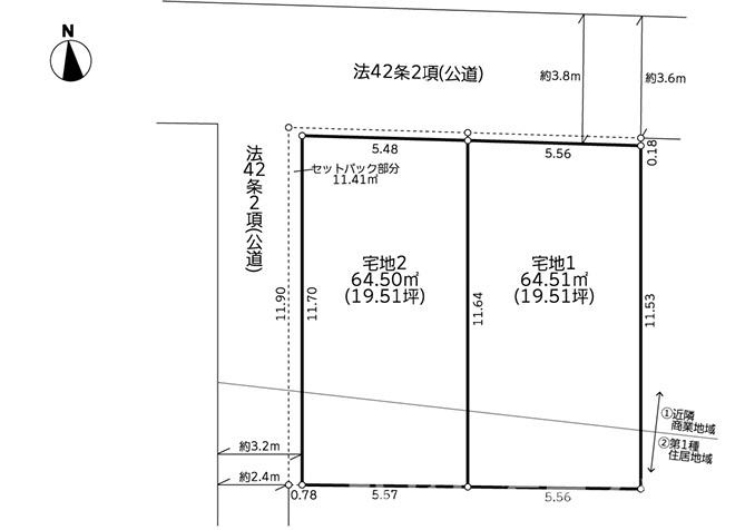
土地面積(坪数)
64.51㎡(19.51坪)
建ぺい率 / 容積率
80% / 300%

セールスポイント

平塚駅徒歩15分!日当たり良好の整形地♪
☆ららぽーと湘南平塚まで徒歩11分でショッピング便利♪
☆家計に優しい都市ガスエリア♪
☆小学校も徒歩圏内で子育て安心♪
崇善小学校490m・オーケー1000m



崇善小学校490m・オーケー1000m

ポイント

平塚駅徒歩15分 日当たり良好 整形地 ららぽーと湘南平塚徒歩11分 都市ガスエリア 崇善小学校490m オーケー1000m

担当者のコメント

舩津 幸世

ー建築条件付とは?ー
売主指定の建築メーカーでの施工が前提の売地です。

デメリットとしては、自由にメーカーを選べない点がありますが、それ以上に多くのメリットがあります。
・費用が抑えられる
土地と建物のセットで事業計画が立てられるため、コストを抑えたプランが可能です。
・手続きがスムーズ
購入後の手続きや打ち合わせが1社のみで完結し、時間や労力の負担を軽減できます。
・契約後も安心
契約後に間取りが入らない、または予算オーバーが発覚した場合、ペナルティなしで白紙解約が可能です。
詳細はお気軽にお問い合わせください。

-都市ガスが選ばれる本当の理由-

都市ガスはLPガスに比べて料金が安定しており、毎月の光熱費を抑えやすいのが大きな魅力。配管を通じて供給されるため、ガスボンベの交換も不要で手間がかかりません。

また、ガスファンヒーターや浴室乾燥機など、ガス機器の選択肢も豊富で、生活の快適性が向上。火力が強く、料理の時短にも貢献します。

都市部を中心にインフラが整っており、利便性・経済性の両面で支持されている人気のエネルギーです。

基本情報

販売区画数
1区画
総区画数
2区画
土地面積(坪数)
64.51㎡(19.51坪)
坪単価
91.24万円
私道負担面積
割合
-
セットバック
要 11.41㎡
建ぺい率 /
容積率
80% / 300%
高圧線下面積
-
傾斜地部分面積
-
路地状敷地
-
地目
宅地
地勢
平坦
造成工事
完了予定
-
土地権利
所有権
建築条件
都市計画
市街化区域
用途地域
近隣商業/第一種住居
接道状況
一方(北 公道 3.8m)
国土法届出要否
不要
最適用途
住宅用地
その他
法令上の制限
景観法/宅地造成及び特定盛土等規制法/高度地区/準防火地域
取引態様
仲介
現況
更地
引渡条件
更地渡
引渡時期
相談
開発許可番号
-
取引条件の
有効期限
2026年03月16日

設備条件

設備条件
  • 陽当り良好 / 閑静な住宅地 / 眺望良好 / 都市ガス / 公営水道 / 公共下水 / 駐車2台可
設備(その他)
    -

その他

物件番号
100226841
管理コード
-
情報更新日
2026年03月02日
次回更新予定日
2026年03月16日
取扱会社
  • 株式会社FREE LIFE 湘南ひがし海岸不動産
  • 神奈川県茅ヶ崎市東海岸北4丁目6-43 湘南SKビル1階
  • TEL:0120-00-4643
  • 国土交通大臣 (1) 第10517号
備考
#お問合せからご見学までの流れ#

(1)まずはお問合せ!
ご見学の希望日時を教えてください。また他にも気になる物件があれば一緒にご提案できます。
まずは資料をという方もお問合せ時に資料請求希望を教えてください。ご指定方法でお渡し致します。

(2)ご見学当日(お待ち合わせ)
⇒当店へご来社
無料駐車場がございます。ナビは茅ヶ崎市東海岸北4-6-43です。

⇒ご自宅までもしくは駅や指定場所でのお待ち合わせも大歓迎です。

(3)ご見学当日(お時間の確認)
お約束時間内でご提案させていただいております。

⇒じっくりコース
4時間から
資金計画、住宅ローンのご相談、物件のご見学(3物件以上)

⇒短時間コース
2時間から3時間
資金計画、住宅ローンのご相談、物件のご見学(3物件以下)

⇒ご相談コース
2時間以内
資金計画、住宅ローンのご相談

#キッズスペースもございます#
お子様が好きなキャラクターや曲などお聞きしてます。
チャイルド・ジュニアシートも常備しております。

オンライン相談・見学も行っております。
お気軽にお問い合わせください。

周辺施設

  • セブンイレブン 平塚追分店の画像

    コンビニエンスストア

    セブンイレブン 平塚追分店

    241m(4分)

  • 白百合保育園の画像

    保育園

    白百合保育園

    347m(5分)

  • 川口医院の画像

    総合病院

    川口医院

    412m(6分)

  • 崇善小学校の画像

    小学校

    崇善小学校

    497m(7分)

  • 平塚二葉幼稚園の画像

    幼稚園

    平塚二葉幼稚園

    582m(8分)

  • 江陽中学校の画像

    中学校

    江陽中学校

    820m(11分)

  • オーケーストアの画像

    スーパー

    オーケーストア

    1029m(13分)

  • 三井ショッピングパーク ららぽーと湘南平塚の画像

    ショッピングセンター

    三井ショッピングパーク ららぽーと湘南平塚

    1520m(19分)

支払いシミュレーション

月々の支払額
購入希望物件価格
万円
頭金
万円
金利
%
返済額(ボーナス1回分)
万円
返済期間

※ボーナスは自動で年2回分で計算されます。

近隣の物件

  1. 平塚市高浜台 売地

    平塚市高浜台

    - (538.14㎡)

    14,580万円

  2. 平塚市田村1丁目 売地 全9区画

    平塚市田村1丁目

    - (114.74㎡)

    1,830万円

  3. 平塚市四之宮2丁目 売地

    平塚市四之宮2丁目

    - (510.86㎡)

    6,480万円

  4. 平塚市榎木町 売地    全2区画

    平塚市榎木町

    - (85.08㎡)

    2,280万円

よく見られている物件

  1. 茅ヶ崎市浜竹4丁目 売地

    茅ヶ崎市浜竹4丁目

    - (168.44㎡)

    7,490万円

  2. 平塚市西真土1丁目 売地 全16区画

    平塚市西真土1丁目

    - (110.06㎡)

    1,990万円

  3. 茅ヶ崎市幸町  売地

    茅ヶ崎市幸町

    - (208.87㎡)

    1800万円

  4. 大磯町東町3丁目 売地

    中郡大磯町東町3丁目

    - (194.99㎡)

    3,480万円

平塚市立野町 売地 全2区画

平塚市立野町 売地 全2区画

1,780万円

-(64.51㎡)

お気軽にお問い合わせください

無料お問い合わせ

株式会社FREE LIFE 湘南ひがし海岸不動産

0120-00-4643

9:30~19:00

(休:水曜日)